
12 Photos
Kabra Vihangby Kabra Group
Price on request
Builder Price
2 BHK
Apartment
1,065 - 1,120 sq ft
Builtup area
Project Location
Goregaon West, Mumbai
Overview
- Feb'15Possession Start Date
- CompletedStatus
- 26Total Launched apartments
- May'12Launch Date
- ResaleAvailability
Salient Features
- Vihang is a grand residential project that is absolutely framed and embellished to fit into your affluent lifestyle
- The residential work offers the home buyers high class life style you always needed from your life
- Swimming pool, Children play area
More about Kabra Vihang
Kabra And Associates new residential project Kabra Vihang located at Goregaon Mumbai. Kabra Vihang host 2BHK,luxurious apartments with all modern amenities.
Approved for Home loans from following banks
Kabra Vihang Floor Plans
- 2 BHK
| Floor Plan | Area | Builder Price |
|---|---|---|
![]() | 1065 sq ft (2BHK+2T) | - |
1100 sq ft (2BHK+2T) | - | |
![]() | 1120 sq ft (2BHK+2T) | - |
Report Error
Our Picks
- PriceConfigurationPossession
- Current Project
Kabra Vihangby Kabra GroupGoregaon West, MumbaiData Not Available2 BHK Apartment1,065 - 1,120 sq ftFeb '15 - Recommended
Laxmiby Bali LandmarksGoregaon West, MumbaiData Not Available2 BHK Apartment645 - 691 sq ftNov '23 - Recommended
Radianceby Kalpataru GroupGoregaon West, Mumbai₹ 3.44 Cr - ₹ 8.44 Cr2,3,4 BHK Apartment881 - 2,164 sq ftMay '23
Kabra Vihang Amenities
- Gymnasium
- Swimming Pool
- Children's play area
- Multipurpose Room
- Sports Facility
- Rain Water Harvesting
- Intercom
- Full Power Backup
Kabra Vihang Specifications
Doors
Internal:
Teak Wood Frame
Main:
Teak Wood Frame
Flooring
Balcony:
Vitrified Tiles
Kitchen:
Vitrified Tiles
Living/Dining:
Vitrified Tiles
Master Bedroom:
Vitrified Tiles
Other Bedroom:
Vitrified Tiles
Toilets:
Anti Skid Tiles
Gallery
Kabra VihangElevation
Kabra VihangFloor Plans
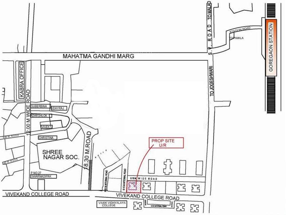
Kabra VihangNeighbourhood
Contact NRI Helpdesk on
Whatsapp(Chat Only)
Whatsapp(Chat Only)
+91-96939-69347
Contact Helpdesk on
Whatsapp(Chat Only)
Whatsapp(Chat Only)
+91-96939-69347
About Kabra Group

- 41
Years of Experience - 48
Total Projects - 4
Ongoing Projects - RERA ID
Kabra Group is a reputed real estate organization with experience spanning over 30 years. The company is involved in the construction of mega townships, residential projects and redevelopment projects in Mumbai. Kabra Group is involved in a diversified real estate business that involves managing property, development, Construction and other related services. It is an ISO 9001:2000 certified company working with the objective to transform the skyline of Mumbai. Kabra Group is known for respondi... read more
Similar Projects
- PT ASSIST
Bali Laxmiby Bali LandmarksGoregaon West, MumbaiPrice on request - PT ASSIST
Kalpataru Radianceby Kalpataru GroupGoregaon West, Mumbai₹ 3.44 Cr - ₹ 8.44 Cr - PT ASSIST
Kalpataru Radiance Cby Kalpataru GroupGoregaon West, Mumbai₹ 3.36 Cr - ₹ 4.96 Cr - PT ASSIST
Integrated Ramicon Aby Integrated Spaces LimitedGoregaon West, Mumbai₹ 1.21 Cr - ₹ 1.47 Cr - PT ASSIST
Sahakar Revantaby Sahakar GroupGoregaon West, Mumbai₹ 2.19 Cr - ₹ 3.21 Cr
Discuss about Kabra Vihang
comment
Disclaimer
PropTiger.com is not marketing this real estate project (“Project”) and is not acting on behalf of the developer of this Project. The Project has been displayed for information purposes only. The information displayed here is not provided by the developer and hence shall not be construed as an offer for sale or an advertisement for sale by PropTiger.com or by the developer.
The information and data published herein with respect to this Project are collected from publicly available sources. PropTiger.com does not validate or confirm the veracity of the information or guarantee its authenticity or the compliance of the Project with applicable law in particular the Real Estate (Regulation and Development) Act, 2016 (“Act”). Read Disclaimer
The information and data published herein with respect to this Project are collected from publicly available sources. PropTiger.com does not validate or confirm the veracity of the information or guarantee its authenticity or the compliance of the Project with applicable law in particular the Real Estate (Regulation and Development) Act, 2016 (“Act”). Read Disclaimer































